La Commission de la représentation électorale (CRE) établit une nouvelle division du territoire de la Ville de Brossard en vue des élections municipales du 2 novembre 2025. Cette division diffère de celle adoptée par la Ville en mai dernier.
La CRE définit 12 districts électoraux, comme le conseil municipal avait décidé de le faire, alors que la carte électorale utilisée lors des dernières élections en comportait 10. En vertu de la Loi sur les élections et les référendums dans les municipalités, une ville de la taille de Brossard, qui compte plus de 95 000 habitants, doit comprendre entre 10 et 16 districts électoraux.

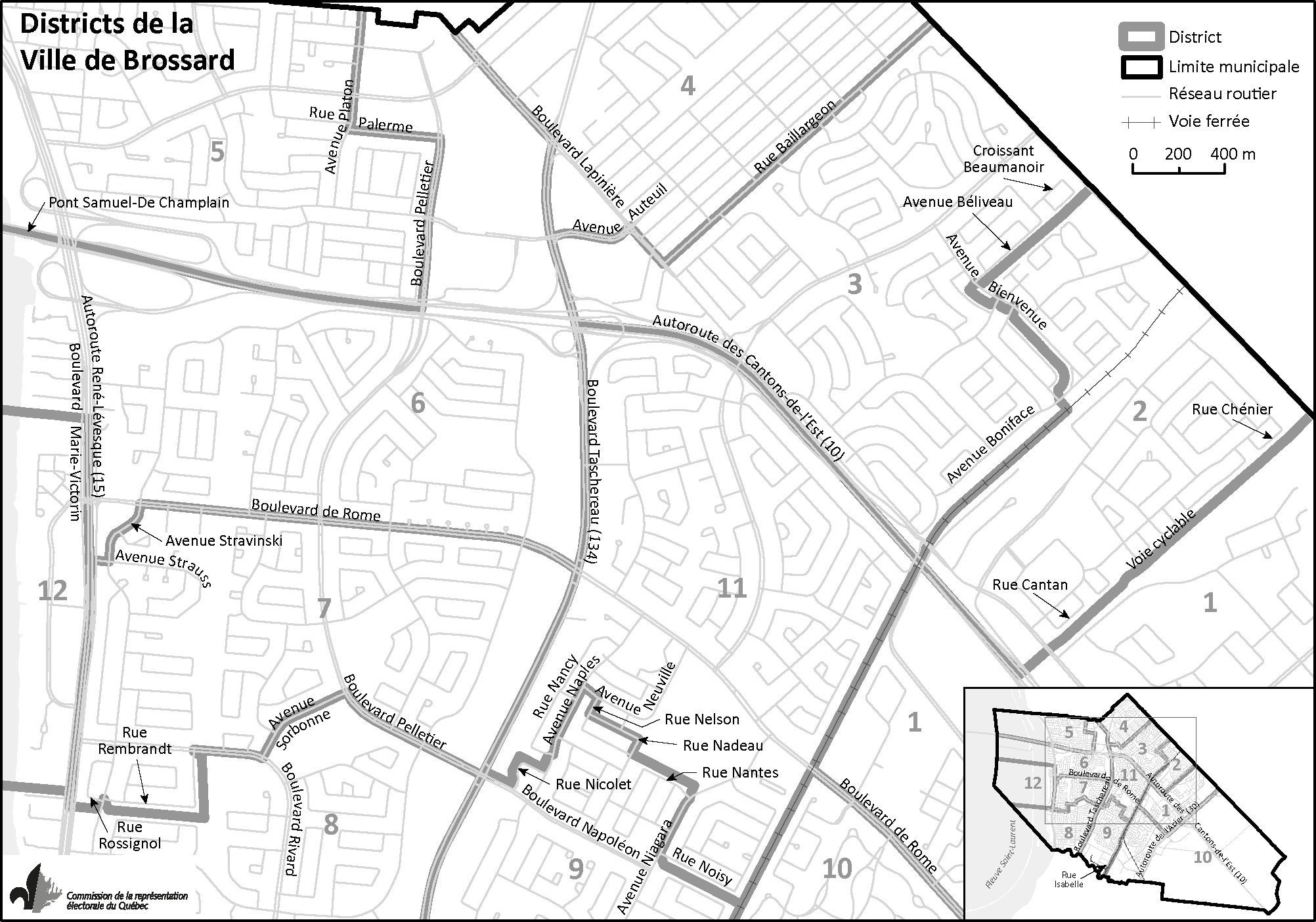
La nouvelle carte électorale de Brossard, établie par la Commission de la représentation électorale, comprend 12 districts électoraux.
La division adoptée par la Ville prévoyait l’ajout d’un nouveau district au cœur de quartiers historiques, venant ainsi les scinder. Plusieurs personnes ont soulevé des préoccupations à cet égard lors de la consultation publique qu’a tenue la CRE, en septembre dernier. Ainsi, les délimitations établies par la CRE visent à tenir compte du sentiment d’appartenance de la population envers les divers secteurs de la ville. Elles tendent aussi à réunir, au sein de mêmes districts électoraux, des communautés qui ont des caractéristiques communes. Par ailleurs, elles se basent sur le contexte socioéconomique actuel. Rappelons que si la croissance anticipée par la Ville se concrétise, cette dernière sera appelée à réviser la délimitation des districts électoraux en vue des élections municipales de 2029.
Contexte d’intervention
La CRE intervient dans la division électorale du territoire de Brossard parce qu’un nombre suffisant d’électrices et d’électeurs se sont opposés à la division adoptée par la Ville le 28 mai dernier (le règlement REG-478 est disponible sur le site Web de la Ville).
Pour alimenter ses travaux et sa réflexion ainsi que pour bien comprendre les enjeux vécus ou anticipés par l’ensemble de la population, la CRE a tenu une consultation publique en septembre dernier. Elle a écouté près d’une trentaine de citoyens, de citoyennes, d’élus et de représentants de la Ville lors d’une audience tenue le 16 septembre à Brossard. Elle a également analysé une dizaine de documents écrits que divers acteurs ont soumis. À la suite de cette consultation, la CRE, qui est une institution indépendante, pouvait maintenir la division adoptée par la Ville ou diviser elle-même le territoire.
« La division du territoire à des fins électorales est un exercice complexe. En plus de devoir comporter un nombre similaire d’électrices et d’électeurs, les districts électoraux doivent tendre à respecter les communautés naturelles au sein de la population. C’est pourquoi il est important d’entendre les préoccupations des gens concernés. Je tiens d’ailleurs à remercier toutes les personnes qui ont participé à notre consultation », a conclu Jean-François Blanchet, président de la CRE et directeur général des élections.
La division des municipalités à des fins électorales
- Le territoire des municipalités est divisé en districts électoraux au cours de l’année qui précède les élections générales municipales. Cette division est obligatoire pour les municipalités de 20 000 habitants ou plus. Les autres municipalités peuvent s’assujettir à cette obligation de façon volontaire.
- En 2024, plus de 270 municipalités ont divisé leur territoire en vue des prochaines élections générales.
- La division du territoire à des fins électorales doit respecter un principe démocratique fondamental : la représentation effective des électrices et des électeurs. La Loi sur les élections et les référendums dans les municipalités prévoit les règles permettant d’assurer cette représentation effective. Deux principes soutiennent ces règles.
- L’égalité du vote : chaque district électoral doit comporter un nombre similaire d’électrices et d’électeurs afin que le poids du vote des électeurs d’un district soit semblable à celui des autres districts.
- Le respect des communautés naturelles : les districts doivent être délimités de façon à assurer la plus grande homogénéité socioéconomique possible en tenant compte de divers critères, comme les barrières physiques, les tendances démographiques, les limites des arrondissements et des paroisses, la superficie ainsi que la distance.
À propos de la Commission de la représentation électorale
La Commission de la représentation électorale a pour mission d’établir la carte électorale du Québec. Au besoin, elle intervient pour établir la carte électorale des municipalités et des commissions scolaires anglophones. La Commission travaille de façon indépendante; elle relève directement de l’Assemblée nationale et agit en toute neutralité et impartialité.